This ethnographic study explored the main stress factors, its consequences and possible improvement measures across 3 UK construction companies.
Results
An important source of stress for all construction workers was coping with ambiguity, which related to lack of time and resources, and poor communication. For example, the number of tasks to be completed in too short of a time was seen to be out of control for most workers. This perception was amplified by unplanned changes, such as uneven grounds, watercourses or asbestos.
Tight deadlines also contributed to stress via excessive workloads, impacting personal/family time on weekends or after work. Almost all of the construction workers spoke about the long work hours they spent on site. High workload and impaired social life created anxiety, as did work intensity where a new site was opening before the current one was closed off.
Poor communication was seen to create a “chaotic work environment” (p2572, emphasis added), that included interruptions and lack of negotiations (like having little ability to negotiate arrangements with a client), among other issues.
Another related to limited resources as important determinants in the genesis of stress. Some complained about how just some basic stuff like limited supplies and facilities, like kitchen, toilet paper, fridge or microwave, had deteriorated and not in good condition or absent.
Interestingly, the resulting uncertainty from these issues were seen to be moderated by the organisational culture/s, where workers are seen as strong and able to cope with uncertainty; where this representation is an “unquestioned variable” (p2572, emphasis added). This cultural perception is seen to maintain a high stress level, as people avoid expressing their concerns about communication, work hours etc.
Handling responsibilities amongst colleagues was seen as stressful, particularly when relating to deadlines, emergencies or unexpected events. E.g., office-based workers felt a sense of burden and anxiety when meeting all of the client’s expectations. Sometimes, client’s needs were seen as non-negotiable and work had to be accomplished no matter what – contributing to stress and emotional problems (anxiety, nervousness).
This “responsibility stress” was connected with their levels of engagement and commitment, such that “the more engaged they are in their activities, the more likely the possibility of their experiencing a high level of stress” (p2575).
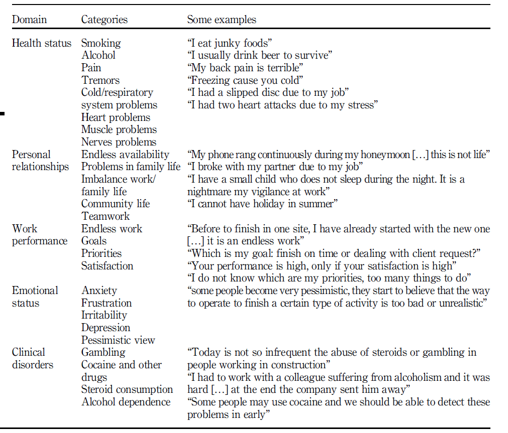
For impacts of stress on health, workers reported pain, tiredness and unhealthy eating habits. Moreover, the research found that unlike office workers, field workers were more prone to compulsive disorders, e.g. higher alcohol and drug problems, and two other types of coping behaviours: steroid use and gambling.
Tools & measures that were reported to assist in stress management included access to better tools and software for helping to manage unexpected events and coordinating work better, better software, and better communication systems. These things generally improved the efficiency of their work. [** In my view this strongly supports the idea that we should focus on learning and improving normal work.]
Further, better access to professional help should be explored and budgeted for in contracts. This should also focus on preventative measures to reduce bullying for the inexperienced and other vulnerable groups.
On the above, other suggestions included organisational changes including more flexible working conditions, gainsharing plans and other types of employee programs. Construction was seen to have little flexible working arrangements.
Some of the impacts of stress as indicated by the workers are shown below:

Authors: Paul Hampton, Ezekiel A. Chinyio, Silvia Riva, 2019, Engineering, Construction and Architectural Management
Study link: https://doi.org/10.1108/ECAM-10-2018-0432
Link to the LinkedIn article: https://www.linkedin.com/pulse/framing-stress-associated-behaviours-work-ben-hutchinson